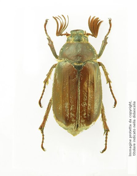
Melolontha sardiniensis
 

clicca per ingrandire
clicca per ingrandire
clicca per ingrandire

clicca per ingrandire

clicca per ingrandire

       
       

clicca per ingrandire